Subjects
Online Tutoring
Homework Help
Homework Library
Tutors
Online Classes
More
Bookstore
Blog
Technical Tips
FAQ
Contact Us
Get Help Now
Home
Homework Library
Earth Science
Geology
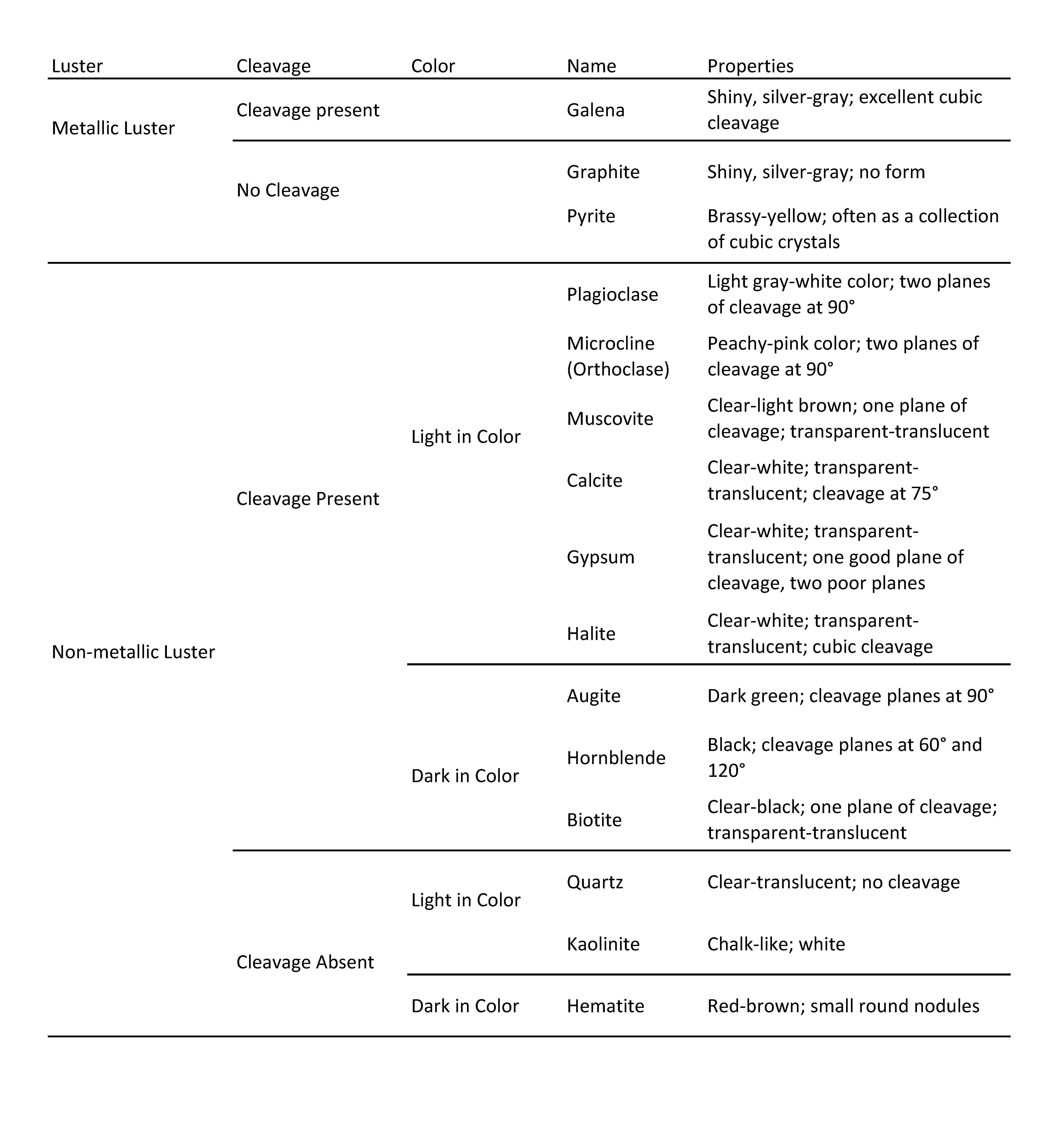
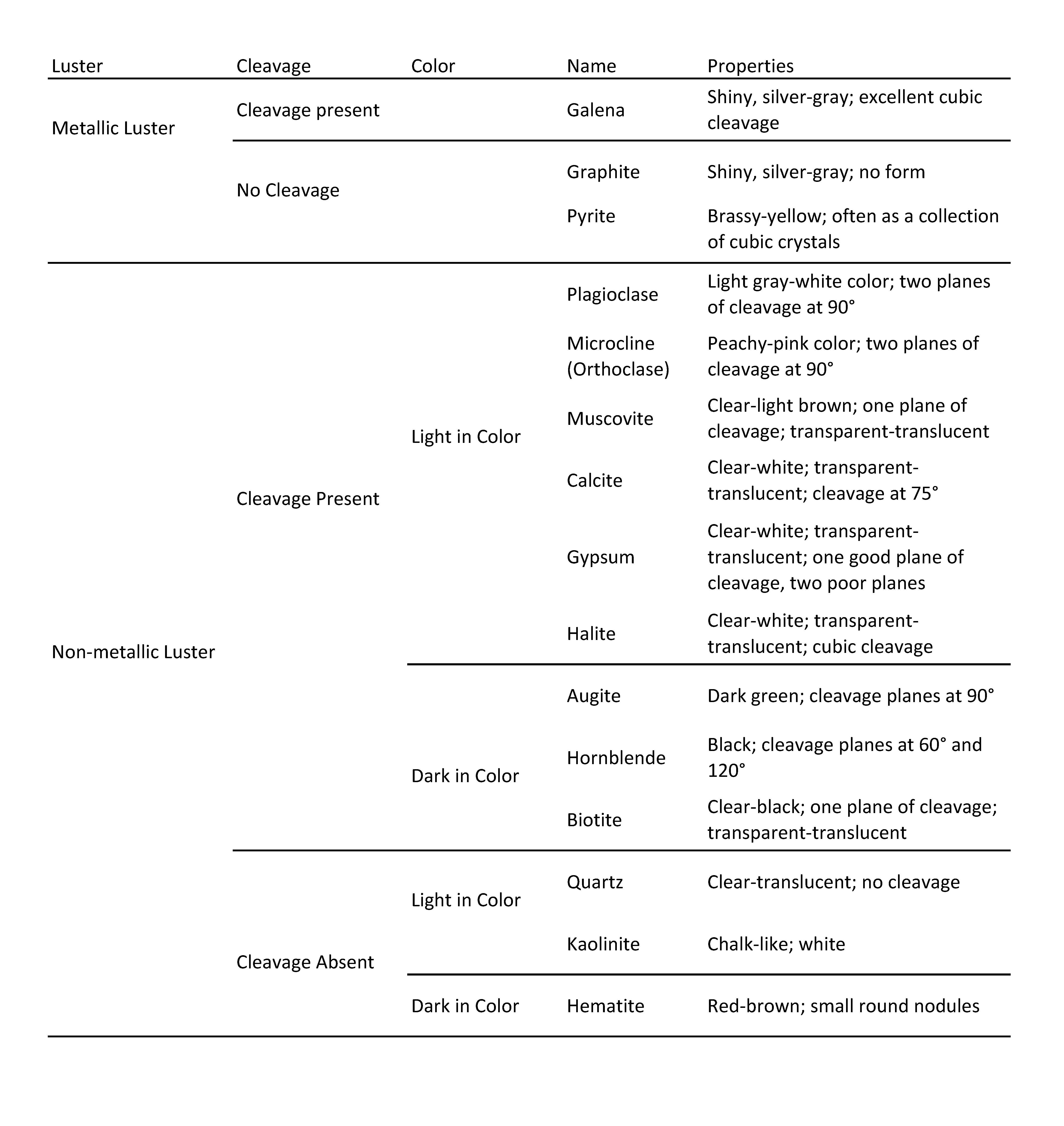
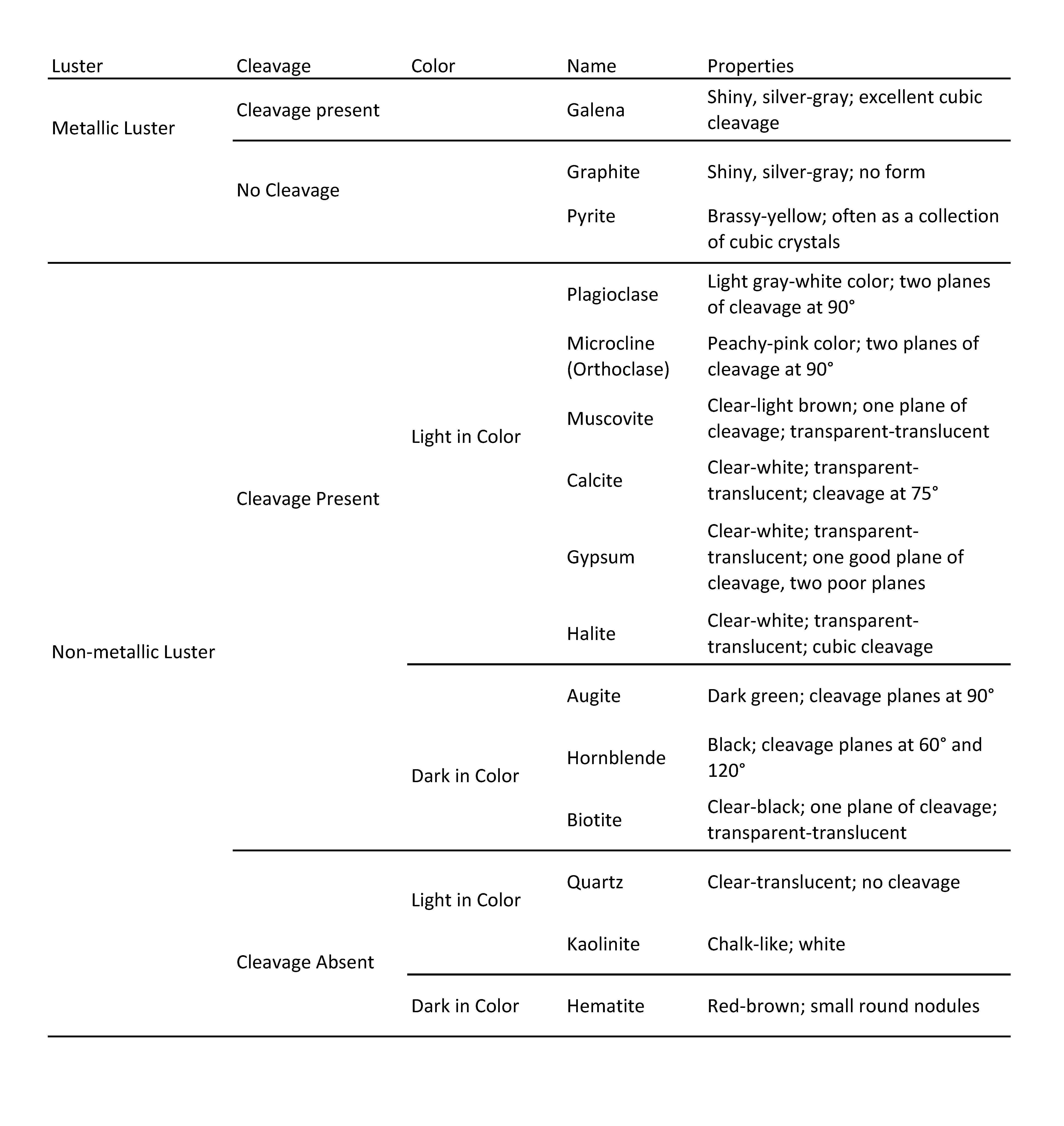
Cleavage plane 1 Cleavage plane 2 Top view 1 1 Cleavage p...
Cleavage plane 1 Cleavage plane 2 Top view 1 1 Cleavage p...